Satellite Images Show the Fierce Power of Super Typhoon Meranti | The Weather Channel
Search
Go ad-free with Premium.Start free trial

Typhoon

Satellite images of the powerful storm near its peak intensity were breathtaking for many meteorologists sharing them on social media and elsewhere.

ByChris DolceSeptember 13, 2016



Super Typhoon Meranti's estimated 185 mph winds late Monday into early Tuesday make it one of the strongest tropical cyclones in the world so far in 2016 based on wind speeds.

Weather in your inbox
By signing up you agree to the Terms & Privacy Policy. Unsubscribe at any time.

Given the tropical cyclone's extreme intensity, satellite images of it have been fascinating for many meteorologists sharing them on social media. Here are some of those jaw-dropping images.

(MORE: Latest on Meranti)

This first image shows Meranti as a super typhoon on Monday just after it reached Category 5 strength. The dark red colors indicate colder (and higher) cloud tops in the infrared satellite image.


(NOAA/NASA RAMMB/CIRA)


NASA Modis satellite view into the eye of Meranti on Tuesday. Visible satellite imagery shows how the typhoon would look if you were in space viewing it with your naked eye.


(NASA)


Here's another up-close view of Meranti's eye on Tuesday. Click the play button to see both the visible and infrared satellite images.



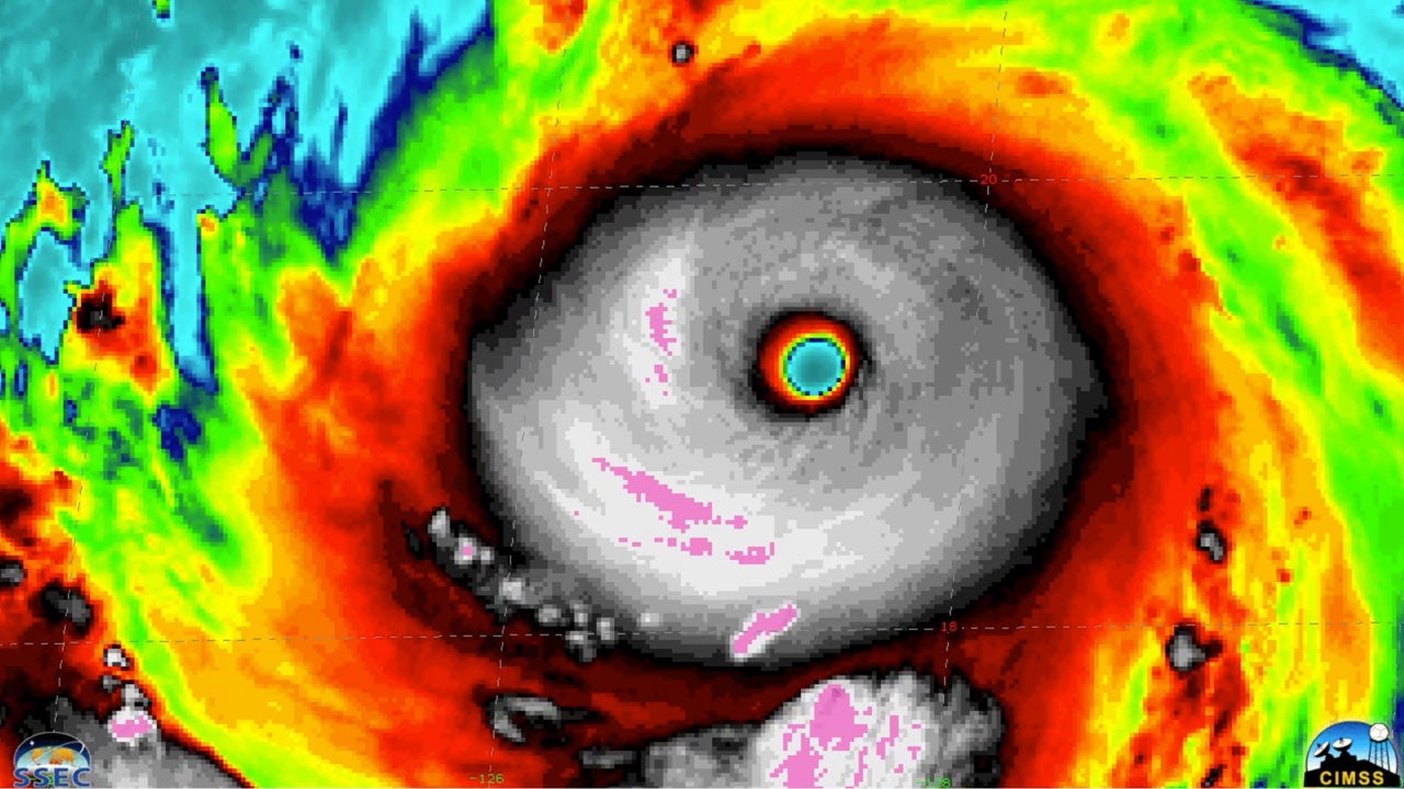
Here's an infrared satellite image of Meranti on Tuesday morning with winds estimated to 185 mph.



A zoomed out visible satellite image view of Meranti on Monday from Japan's Himawari-8 satellite.


(JMA)


Meranti's cyclonic (counterclockwise) wind flow around its eye is illustrated by this next image taken on Monday.

Infrared view of Meranti as a Category 5 with winds of 180 mph. To see an animated version of this, click here.


(CIMSS)


This final look a Meranti is an animation of visible satellite imagery from early Tuesday. Click the play buttom below to view.





MORE ON WEATHER.COM: Typhoon Nepartak Hits Taiwan and China in July 2016





Loading comments...