Satellite Images Show the Rapid Intensification of Typhoon Noru | The Weather Channel
Search
Go ad-free with Premium.Start free trial

Typhoon

Satellite images of the powerful storm near its peak intensity were breathtaking.

ByChris DolceJuly 31, 2017


Watches Issued In Caribbean For Future Ernesto


Typhoon Noru rapidly intensified into the strongest storm in the Northern Hemisphere so far in 2017 when it became the equivalent of a Category 5 hurricane over the weekend.

Weather in your inbox
By signing up you agree to the Terms & Privacy Policy. Unsubscribe at any time.

Given the tropical cyclone's extreme intensity, satellite images of it have been fascinating. Here are some of those jaw-dropping images.

(MORE: Latest on Noru)

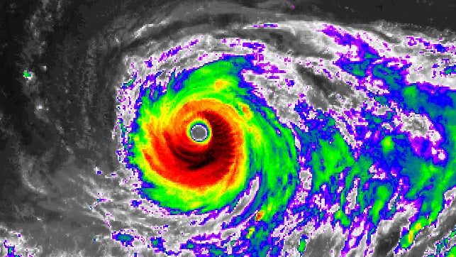
This first colorized infrared satellite image shows Noru near its peak intensity late Sunday U.S. time when it was a super typhoon with winds estimated to be 160 mph by the Joint Typhoon Warning Center. Maximum winds have decreased a bit since then, but Noru remains a powerful typhoon.

The darker orange shadings in the image represent higher clouds tops, indicative of the most intense convection (rain and thunderstorms) in the tropical cyclone.



As a comparison, here's what Noru looked like 24 hours earlier on Saturday when it was considerably less defined just before it began its rapid intensification process.



Rapid intensification in tropical cyclones is when maximum sustained winds increase 30 knots (about 35 mph) in 24 hours or less.

Noru's winds increased about 90 mph in 18 hours. That amount of rapid intensification is close to what last October's Hurricane Matthew achieved in the Caribbean when its winds increased about 85 mph in 24 hours (80 mph to 165 mph winds).

Neither of those tropical cyclones comes close to matching Hurricane Patricia's rapid intensification in the eastern Pacific during October 2015. Its winds spiked 120 mph in 24 hours (85 mph to 205 mph).

Next is an up-close 250-meter resolution visible satellite view of Noru's eye Monday from NASA's Modis Terra satellite. Visible satellite imagery shows how the typhoon would look if you were in space viewing it with your naked eye. Notice how the ocean's surface is obscured by cloud cover inside the eye.


(NASA)


Here's an detailed view of Noru's eye from visible satellite imagery Monday morning Japan time. Click the play button on the tweet to see the rapid-scan imagery animate from Japan's Himawari-8 satellite.



This wider view of Noru is an AHI geocolor image from the Himawari-8 satellite taken late Monday Japan time. An overlay of city lights in Japan and eastern China stand out prominently.


(JMA via CIRA/RAMMB)


Noru's cyclonic (counterclockwise) wind flow (arrows surrounding the storm) around its eye is illustrated by this visible image taken Monday.



Here is another visible satellite image of Noru near its peak intensity late Sunday U.S. time (early Monday Japan time). 



Shown in this image is the eyewall of Noru when it first became the equivalent of a Category 5 hurricane. Although no earth-based radar sites were available at that time, microwave imagery from satellites can give you a good idea of what the eyewall looks like.


Credit: NRL


Noru's well-defined eye is shown in this infrared satellite image from Monday after it had weakened some but remained a potent Category 4 equivalent.


(NASA/NOAA)


MORE ON WEATHER.COM: Typhoon Nepartak Hits Taiwan, China in July 2016





Loading comments...