10 Amazing Images of Dangerous Typhoon Dujuan | The Weather Channel
Advertisement
Advertisement

10 Amazing Images of Dangerous Typhoon Dujuan

Typhoon Dujuan intensified into a Category 4 equivalent storm to the east of Taiwan this weekend. The typhoon is a major threat to the Ryukyu Islands of southern Japan, Taiwan and eastern China early this week.

(FORECAST: Typhoon Dujuan)

Dujuan is also the latest of several typhoons this year that have provided us with stunning imagery from space, further illustrating the destructive power of tropical cyclones.

(MORE TYPHOON IMAGERY: Atsani and Goni | Soudelor | Maysak)

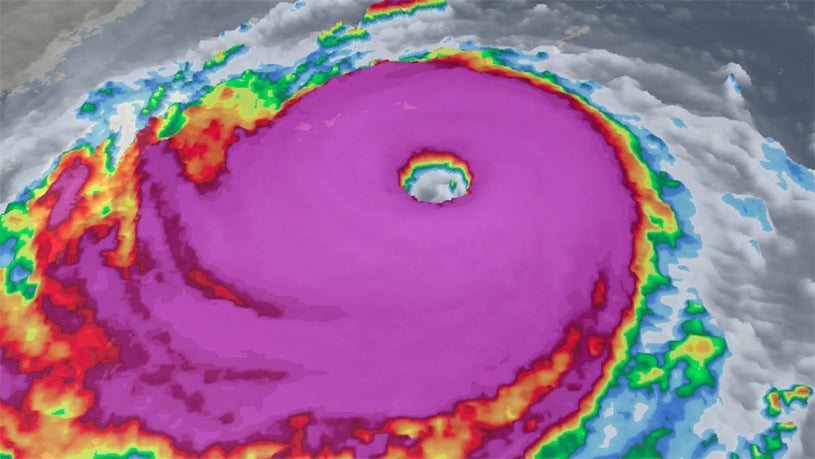
This first image in our series is from the Visible Infrared Imaging Radiometer Suite (VIIRS) sensor aboard NASA’s Suomi NPP satellite. It shows Dujuan as a 145 mph typhoon on Sunday. Dujuan's very symmetrical eye was estimated to be 60 miles wide, according to Dr. Greg Postel of The Weather Channel.

image
Credit: NOAA/NASA CIRA/RAMMB Dan Lindsey

NASA's Modis Aqua satellite snapped this unique view of Dujuan on Sunday which uses the brightness temperature overlay (Band 31-Day).

image
Credit: NASA

An infrared satellite image of Dujuan and its large eye on Sunday.

image
Credit: NRL Monterey
Advertisement

Dujuan as viewed from Japan's Himawari-8 satellite just before sunset on Sunday.

image
Credit: CIRA/RAMMB/Himawari

The next two images show an up-close visible satellite view of Dujuan's eye on Sunday.

image
Credit: CIRA/RAMBB
image
Credit: NASA

Below are two enhanced satellite images of Dujuan on Sunday. The second image shows the counterclockwise wind flow around Dujuan's eye.

image
Credit: The Weather Channel
image
Credit: The Weather Channel

Before Dujuan became a Category 4, it was photographed from the International Space Station on Friday.

image
Credit: ISS/‏Twitter/Astro_Kimiya
image
Credit: ISS/‏Twitter/Astro_Kimiya

PHOTOS: Typhoon Dujuan

A pedestrian struggles with luggage in the strong winds and rain from Typhoon Dujuan in the business district of Taipei, Taiwan, Monday, Sept. 28, 2015. Dujuan picked up strength Sunday as it approached Taiwan, prompting warnings of strong winds and torrential rain. (AP Photo/Wally Santana)
1/30
A pedestrian struggles with luggage in the strong winds and rain from Typhoon Dujuan in the business district of Taipei, Taiwan, Monday, Sept. 28, 2015. Dujuan picked up strength Sunday as it approached Taiwan, prompting warnings of strong winds and torrential rain. (AP Photo/Wally Santana)

 

Advertisement