Hurricane Melissa: Millions Brace For Catastrophe | Weather.com
Advertisement
Advertisement

25 Million People In Path Of Monster Hurricane Melissa

Read on for the Monday's updates on the extremely serious situation unfolding in the Caribbean.

Play

Hotel Guests Brace For Hurricane Melissa

Hurricane Melissa exploded Monday into a Category 5 monster, threatening more than 25 million people across Jamaica, Haiti and Cuba. The powerful storm is expected to make landfall on Jamaica Tuesday morning, though its outer bands had already begun unleashing fierce winds and rain on the island.

Communities in Melissa's path braced for potentially life-threatening storm surge. Catastrophic flooding was expected to swamp Jamaica's Norman Manley International Airport.

Officials warned some areas could be isolated for weeks, predicting widespread and long-lasting power outages. Evacuations became increasingly urgent Monday as Melissa slowly crawled through the Caribbean.

See the detailed forecast here, and Melissa's projected path here.

Here are our latest updates from throughout the day Monday:

(05:43 p.m. EDT) What To Expect Tonight From Melissa

By digital meteorologist Rob Shackelford:

Hurricane Melissa is bearing down on Jamaica, getting ready to bring heavy rain, gusty winds and deadly storm surge to the nation as well as parts of Hispaniola.

So what is the expectation tonight?

Melissa will finish turning to the north by the end of the day and will officially head towards Jamaica.

The storm should make landfall on Jamaica early Tuesday morning, with hurricane-force winds expected prior to landfall and through the day on Tuesday.

Life-threatening storm surge is expected on the south side of Jamaica tonight into Tuesday.

Rainfall will begin to ramp up for parts of Hispaniola and Jamaica as the storm approaches overnight, where rainfall rates will increase and flooding will become more widespread.

(05:32 p.m. EDT) Bracing For A Long Recovery

We’ve gotten quite a few questions about power outages in Jamaica, and how long it could take for communication infrastructure to be back up and running following the storm.

We want to be clear: Recovery from this event could last for weeks, if not months.

Melissa’s catastrophic winds are expected to result in extensive infrastructural damage. That destruction means power outages could be widespread and long-lasting.

Flooding and storm surge forecasts also point to water inundating the Norman Manley International Airport in Jamaica’s capital city of Kingston. This would dramatically reduce the ability for aid to reach the island once the storm has passed.

(05:08 p.m. EDT) Hurricane Melissa: The Strongest Storm Of The Year

By digital meteorologist Rob Shackelford:

Hurricane Melissa officially became the strongest storm of 2025 when it reached winds of 175 mph, eclipsing Super Typhoon Ragasa (peak winds of 165 mph) in the Northern Pacific in September.

An interesting note is that apart from Ragasa, the next strongest storms both occurred in the Atlantic with Hurricanes Erin and Humberto, both of which reached winds of 160 mph.

(04:46 p.m. EDT) An Unusual 2025 Atlantic Hurricane Season

By digital meteorologist Rob Shackelford

The 2025 Atlantic Hurricane Season has been rather unusual, as there has been a plethora of powerful storms, but none of them have had impacts like what is already ongoing in the Caribbean from Melissa.

This season has had three Category 5 storms, the most since 2005: Erin, Humberto and now Melissa.

When Erin was still an area of interest, its flooding led to deaths in the Cabo Verde Islands. The storm tracked west and eventually reached Category 5 strength before turning away from the Caribbean, only grazing some of the northernmost islands as it turned towards Bermuda. Humberto followed a similar track.

Most storms followed a similar pattern, except for Tropical Storms Barry and Chantal. Barry made landfall near Veracruz, Mexico, while Chantal moved into South Carolina.

(04:28 p.m. EDT) Planes Steer Clear Of Melissa

Live flight tracking on Flightradar24 shows the area around Hurricane Melissa. Can you tell where the storm has set up shop?

Live air traffic at 4:25 p.m. EDT shows a large gap over Jamaica as pilots fly around Hurricane Melissa.
Live air traffic at 4:25 p.m. EDT shows a large gap over Jamaica as pilots fly around Hurricane Melissa.
(Flightradar24)

The gap shows the extent of the storm’s disruption, with planes rerouted for hundreds of miles around the island. Commercial flights into and out of Jamaica’s two international airports are canceled until further notice.

(04:02 p.m. EDT) An Update From Trapped Vacationers

Hotel guests at the Riu Ocho Rios say they are “doing okay for now but it’s pretty chaotic” as the resort goes into lockdown ahead of the storm.

When Toby Smith and his family arrived on the island three days ago, Melissa was just a low-level tropical storm, but it has since escalated dramatically.

He added that the resort staff have done a good job preparing but “of course it’ll get worse overnight.”

(03:36 p.m. EDT) Heading Out On A Cruise? Check Your Itinerary

Multiple cruise lines have switched up their routes and destinations because of Melissa. It’s no surprise that they are now avoiding Jamaica and Haiti, but ships are also steering clear of ports in the Eastern Caribbean, like St. Maarten and St. Thomas.

They’re adding destinations in the Western Caribbean, like Belize and Mexico. Routes could change again as the path of the hurricane shifts. So if you’re booked, be sure to look closely for updates from your cruise line.

(03:09 p.m. EDT) Melissa's Slow Crawl

We got this question from viewer Gabi Z.:

“Is the storm expected to slow even more once it officially hits land?”

From digital meteorologists Sara Tonks and Rob Shackelford:

The storm's forward motion isn't really expected to slow once it makes landfall due to how small Jamaica is — it'll pass overhead and keep moving northward. However, the mountainous terrain of Jamaica is likely to decrease the wind speed (and therefore the intensity/category of the storm) as mountains can disrupt the eye of a hurricane and cause winds to drop.

Melissa is currently moving west/northwest at a speed of 3 mph.

If you have questions about Melissa, you can text us at (404) 793-7182.

(02:36 p.m. EDT) October’s Low Pressure Club

From digital meteorologist Caitlin Kaiser:

According to the 2pm update from the National Hurricane Center, Melissa’s central pressure has dropped to 906 millibars. This makes it the fourth lowest for an October Atlantic hurricane on record. See which others made the list:

Wilma (2005), 882 mb

Milton (2024), 895 mb

Mitch (1998), 905 mb

Melissa (2025), 906 mb

(02:21 p.m. EDT) Are Jamaica’s Houses Prepared For A Category 5?

From digital meteorologist Rob Shackelford:

Hurricane Melissa has the potential to be the strongest storm to ever hit Jamaica, so how will homes hold up in these conditions?

While recent homes in Jamaica are often built with concrete and steel, winds this strong can still lead to total roof failure and total wall collapse.

The National Hurricane Center warns that, “within the eyewall, total structural failure is likely in higher elevation areas where wind speeds atop and on the windward sides of hills and mountains could be up to 30% stronger.”

Older homes will fare even worse. And the heavy rainfall will only exacerbate the impacts.

(01:53 p.m. EDT) Impacts Beyond Jamaica

We got this question from a viewer:

“The eye now seems already to be west (and south) of Jamaica. It's supposed to turn to the north, but I don't get how Haiti or especially the Dominican Republic are in its path now.”

From digital meteorologist Jennifer Gray:

While Haiti and the Dominican Republic aren't in the cone (or the direct path), it's important to remember that impacts from a tropical system can extend well outside the forecast cone. That's what we are going to see with Melissa. The storm will be close enough to Haiti to potentially produce tropical storm force winds and catastrophic rainfall. The National Hurricane Center is forecasting as much as a foot of rain across southern sections of Haiti and the Dominican Republic.

If you have questions about Melissa, you can text us at (404) 793-7182.

(01:30 p.m. EDT) Landfall Isn't Everything

From digital meteorologist Rob Shackelford:

Hurricane Melissa’s current forecast calls for a landfall on Jamaica on Tuesday; however, it is crucial that people understand impacts begin long before landfall and can continue long after as well.

Tropical storm-force winds are already occurring in Jamaica, and outer rain bands are already lashing the nation.

Melissa’s slow crawl means the island could see hours of the strongest winds after the time of landfall.

In terms of rainfall, totals through Wednesday could reach and potentially exceed 40 inches across higher elevations, which will cause numerous landslides.

(01:05 p.m. EDT) Insider View Of Melissa's Eye

From digital meteorologist Caitlin Kaiser:

You’ve likely seen satellite images of Hurricane Melissa’s eye from above, but have you seen the view from inside?

Hurricane Hunter, Jeremy DeHart, shared a glimpse into what the inside of the eye looks like, noting that Melissa’s eye is about as clear as one can get in the Atlantic.

The footage almost seems surreal with blue skies above and a wide open view of the towering eye wall surrounding the plane. But you can bet the second the plane crossed back into the storm, the flight returned to being far from smooth sailing.

(12:41 p.m. EDT) Jamaican Resorts Go Into Lockdown

A guest at the Hotel Riu Ocho Rios on Jamaica’s northern coast says there’s a feeling of tense calm settling in around town ahead of Melissa’s arrival, noting the already windy conditions and choppy seas.

Toby Smith was traveling with his wife and two small children when his resort announced they would be going into lockdown. Guests were instructed to stock up on supplies, place mattresses against their windows and join other visitors who lined up for food bags while waiting for the storm to hit.

Despite the nerves, he praised the resort staff’s preparation and hoped the hurricane would shift, sparing Ocho Rios from the worst.

(12:15 p.m. EDT) What Could Jamaica’s Geography Do To Melissa?

Clouds cover Kingston, Jamaica, ahead of the forecast arrival of Hurricane Melissa on Sunday, Oct. 26, 2025. (AP Photo/Matias Delacroix)
Clouds cover Kingston, Jamaica, ahead of the forecast arrival of Hurricane Melissa on Sunday, Oct. 26, 2025.
(AP Photo/Matias Delacroix)

From digital meteorologist Rob Shackelford:

Hurricane Melissa is forecast to make a direct landfall over Jamaica, a small but rather mountainous nation.

Advertisement

Mountains can shred an eyewall’s tight and closed off circulation, leading to weakening for the storm. These features can also lead to temporary decoupling of upper and lower level winds for the system, which can also lead to weakening.

Jamaica is a very small nation, so the eye will not take long to move over the mountains, despite Melissa’s slow pace.

So these impacts should drastically reduce the strength. The key takeaway here is that the gusty winds and torrential rainfall are expected, and this continues to be a life-threatening situation. Landslides, flash flooding, power outages and large waves are all expected.

(11:49 a.m. EDT) Questions About This Monstrous Storm? Let Us Answer Them

If you have questions about Melissa, you can text us at (404) 793-7182 and our team can get you some answers as we continue to closely follow this powerful storm.

If you or someone you know is riding out the hurricane in Jamaica, you can send us photos or video, or just text to share what’s happening on the ground.

(11:19 a.m. EDT) Category 5s: Not As Rare Lately

From senior meteorologist Jonathan Erdman:

Of the 45 Category 5 Atlantic Basin hurricanes since 1924:

- 3 have happened this season

- 13 have happened the past 10 years

- 17 have made a Cat 5 landfall

For more perspective, check out our article here.

image

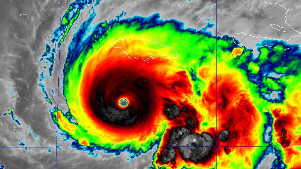
(10:37 a.m. EDT) Melissa On Satellite: Stunning And Devastating

From digital meteorologist Caitlin Kaiser:

This is a chilling sight to wake up to on a Monday morning.

The GOES-19 satellite gives us this mesmerizing view of lightning in the eyewall of Melissa as it bears down on Jamaica as a Category 5 hurricane. It really puts into perspective how nature can be both awe-inspiring and devastating at the same time.

(10:12 a.m. EDT) Daylight Brings ‘Howling Winds And Steady Rain’

From writer Renee Straker:

We’re starting to see some of the first videos as Melissa impacts Jamaica. A video sent to the Jamaica Observer by a resident of the parish of Manchester, captured the fierce winds and blinding rain hitting the area around 7 a.m. EDT. Manchester is a mountainous district in the south-central part of the island, west of Kingston.

(09:42 a.m. EDT) A Larger Melissa?

The zone of tropical storm-force (orange) and hurricane-force (purple) winds with Hurricane Melissa as of 8 a.m. EDT, Oct. 27, 2025. (Data: NOAA/NHC)

From senior meteorologist Jon Erdman:

Melissa may be starting an "eyewall replacement cycle" (ERC).

This is when an "outer eyewall” forms, eventually chokes off the old "inner eyewall," then contracts inward. Virtually all intense hurricanes do this at least once.

The reason why it matters: During the ERC, the hurricane's peak winds can diminish somewhat.

But any tick down in wind speed could mask worse wind impacts. That’s because during and after the ERC, the winds become more expansive, covering a larger area. That can be damaging for a larger area than a higher wind speed over a smaller area.

This is what happened in Maria before it hit Puerto Rico in 2017. Nobody affected by Maria cared one bit that its peak winds were slightly lower before landfall. Instead, it became a larger hurricane.

(09:04 a.m. EDT) Can A Hurricane Trigger An Earthquake?

True to form, if it's busy in the weather world, there's bound to be a large earthquake to make things even busier. And that just happened, when a preliminary 6.5 magnitude earthquake (and a 6.0 aftershock) was reported this morning off the coast of Guadeloupe in the Lesser Antilles (there's no tsunami threat, according to initial reports).

So that begs the question: With a large hurricane not all that far away, is it possible that such a massive storm could trigger something in the fault lines deep beneath the ocean?

First, let's get this out of the way: It's very unlikely that this morning's quake was triggered by Melissa. This storm hasn't been around long enough, is on the small side of hurricanes, and wasn't super close to this quake.

But the USGS does have this to say about a possible connection between some big storms and earthquakes: "Very large low-pressure changes associated with major storm systems (typhoons, hurricanes, etc.) are known to trigger episodes of fault slip (slow earthquakes) in the Earth’s crust and may also play a role in triggering some damaging earthquakes. However, the numbers are small and are not statistically significant."

(08:42 a.m. EDT) More Than 'Wild Gilbert'?

Strong words from senior meteorologist Jon Erdman:

"I hope Jamaica is truly prepared for the fury, onslaught and aftermath of Melissa.

Hurricane Gilbert in 1988 raked across the island, with 45 killed. An estimated one-fifth of the island’s homes were either destroyed or severely damaged, leaving hundreds homeless. Many roads were blocked and massive food shortages occurred.

But Melissa could be a slower, more intense storm. I pray this won’t be Jamaica’s 'Maria.'

The island will need significant outside help recovering for months, at least."

(08:00 a.m. EDT) Melissa Is STILL Gaining Strength

From senior meteorologist Jon Erdman:

According to the 8 a.m. EDT advisory from the National Hurricane Center, Melissa’s central pressure has now dropped to 913 millibars.

A millibar is a unit of pressure meteorologists use to gauge the strength of hurricanes and low-pressure systems over land and oceans.

While the 160 mph maximum winds hadn’t changed in this latest advisory, the central pressure dropped 4 mb from the 5 a.m. advisory.

This means Melissa is still gaining strength. Its winds may soon tick upward.

(07:36 a.m. EDT) Melissa’s Eye Visible From Space Station

From senior writer Chris DeWeese:

Hurricane Melissa’s eye and organization were visible from the International Space Station as it passed over the Caribbean Sunday morning. Watch the video of what this monster storm looks like from space:

(07:10 a.m. EDT) Melissa Is Already Deadly

People abandon a car on an impassable street flooded by rains from Melissa in Santo Domingo, Dominican Republic, Friday, Oct. 24, 2025. (AP Photo/Ricardo Hernandez)
People abandon a car on an impassable street flooded by rains from Melissa in Santo Domingo, Dominican Republic, Friday, Oct. 24, 2025.
(AP Photo/Ricardo Hernandez)

From writer Renee Straker:

This storm is already blamed for four deaths. At least three people died in Haiti from falling trees and landslides. A fourth death was reported in the Dominican Republic, with another person reported missing.

The deaths in Haiti happened before Melissa even strengthened to a hurricane, a tragic reminder of the power and danger of slow-moving storms.

(06:38 a.m. EDT) Stuck On A Caribbean Vacation? Here's What We Recommend

A janitor mops the floor at Norman Manley International Airport, closed ahead of the forecast arrival of Hurricane Melissa, in Kingston, Jamaica, Sunday, Oct. 26, 2025. (AP Photo/Matias Delacroix)
A janitor mops the floor at Norman Manley International Airport, closed ahead of the forecast arrival of Hurricane Melissa, in Kingston, Jamaica, Sunday, Oct. 26, 2025.
(AP Photo/Matias Delacroix)

Late October is usually a time when travelers start to breathe a sigh of relief, thinking the worst of hurricane season is over for the Caribbean. But with Hurricane Melissa, Jamaica and several other Caribbean islands are in the path of a massive storm, and thousands of travelers are now stranded with airports closed and no way out.

With the help of the U.S. Embassy in the Bahamas, here are some key things to keep in mind if you get stuck on a Caribbean island in the path of a tropical cyclone:

- Seek out the website of the U.S. embassy on the island you're visiting. There should be a list of shelters provided, should you need one. Be prepared to take all the supplies you need if you're heading to a shelter.

- Pay attention to updates if you're staying at a resort or hotel. Evacuate if told — don't stay behind or ignore evacuation plans. If you're in a well-built structure, it might be the best choice to stay put and keep as many walls as possible between you and the outside world.

- Once the storm passes (keep in mind that if you're in the eye of the storm, you're only halfway done), stay put if possible, or be extremely careful walking around. Live wires could be downed, and floodwaters can have hazardous substances or animals.

(06:18 a.m. EDT) We’re Witnessing History

From senior meteorologist Jon Erdman:

While both Category 4 and 5 hurricanes can have devastating impacts, the prospects of a Category 5 not just passing Jamaica by, but making landfall there, would be unprecedented in NOAA records dating to the mid-19th century.

Only two previous hurricanes — Ivan in 2004 and Allen in 1980 — passed within 70 miles of Jamaica at Category 5 intensity. Neither of those made landfall.

(05:55 a.m. EDT) How Rare Is Rapid Intensification?

Defined as an increase in a tropical storm or hurricane's maximum sustained winds of at least 35 mph in 24 hours or less, rapid intensification (which we saw with Melissa) remains one of the most difficult things to nail down in the tropics. And it can have some of the most severe consequences when a storm explodes in intensity just hours before making landfall.

But is it rare? Well, it's a little more common than you might think. Read this article for a complete breakdown.

(05:35 a.m. EDT) Sunday Brought Storm Surge, High Winds

From writer Renee Straker:

Parts of Jamaica were already feeling the impacts of Melissa before sunset on Sunday.

The Jamaica Observer showed storm surge and rising tides overwhelming beaches in some parishes.

All 881 shelters are open across the island. Students who are riding out the storm at the University of the West Indies campus in Mona received storm supplies on Sunday.

(05:00 a.m. EDT) Category 5!

Hurricane Melissa is seen on Sunday night, Oct. 26, 2025.
(NOAA/CIRA)

As of 5 a.m. EDT, Hurricane Melissa has joined Erin and Humberto as the trio of Atlantic Basin hurricanes to hit the highest end of the Saffir-Simpson scale in 2025. That's right, three of five hurricanes in the Atlantic have hit Category 5 (and Gabrielle topped out at Category 4).

"Some additional strengthening is forecast today, with fluctuations in intensity likely before Melissa makes landfall on Jamaica early Tuesday," the National Hurricane Center said in its 5 a.m. advisory. "Melissa is expected to reach Jamaica and southeastern Cuba as a powerful major hurricane, and will still be at hurricane strength when it moves across the southeastern Bahamas."

Melissa is the seventh Category 5 Atlantic hurricane in the 2020s; it's the 44th Category 5 hurricane in the basin since 1924, according to NOAA's historical database.

You can read more about the basin's Category 5 history here.

(04:45 a.m. EDT) The Latest On Melissa

From senior meteorologist Jon Erdman:

What we know right now (before 5 a.m.):

  • Bands of heavy rain and tropical storm conditions have arrived in Jamaica.
  • Bands of heavy rain are streaming into southern Haiti.
  • Hurricane-force conditions are forecast to arrive in Jamaica tonight and continue at least into Tuesday midday, if not a bit later.
  • Hurricane conditions are forecast to arrive in eastern Cuba Tuesday evening.

What we don't yet know: Will it make landfall at Category 5 in Jamaica? Frankly, that's only important to meteorologists. The severe, potentially catastrophic impacts will occur in Jamaica regardless of a 5-10 mph difference in peak winds.

Advertisement